Nach den schweren Auswirkungen von Hurrikan Melissa auf Jamaika hat die Hyatt Inclusive Collection den Betrieb ihrer Resorts auf der Insel vorübergehend eingestellt. Die Entscheidung, die auch einen Annahmestopp neuer Reservierungen bis zum 31. Januar beinhaltet, unterstreicht die Notwendigkeit umfassender Schadensbewertungen im Gastgewerbe der Karibikinsel.
Die Resorts der Hyatt Inclusive Collection in Jamaika, zu denen das Breathless Montego Bay Resort & Spa, Dreams Rose Hall Resort & Spa, Hyatt Zilara Rose Hall, Hyatt Ziva Rose Hall, Secrets St. James Montego Bay, Secrets Wild Orchid Montego Bay, Jewel Grande Montego Bay Resort & Spa und Zoetry Montego Bay Jamaica gehören, sind von der temporären Schließung betroffen.
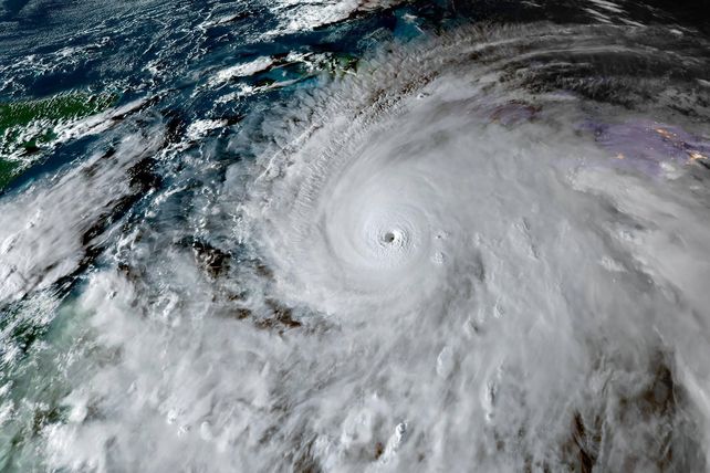
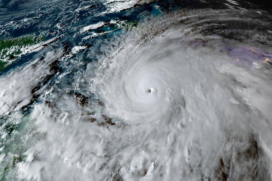
In einer Stellungnahme erklärte das Unternehmen, es führe „eine detaillierte Bewertung durch, um das Ausmaß des physischen Schadens an allen Liegenschaften festzustellen“. Der Hurrikan Melissa hatte Jamaika am 28. Oktober heimgesucht und eine Spur der Verwüstung hinterlassen.
Tourismusminister setzt ambitioniertes Ziel für Wiederherstellung
Die Nachricht der Hyatt-Gruppe steht im Kontext der Bemühungen der jamaikanischen Regierung um eine schnelle Wiederherstellung der für die Wirtschaft vitalen Tourismusbranche. Edmund Bartlett, der jamaikanische Tourismusminister, hat den 15. Dezember als Zieldatum für die vollständige Wiederaufnahme des Tourismusbetriebs auf Jamaika festgelegt.
Zur Erreichung dieses Ziels hat das Ministerium eine Task Force zur Bewältigung der Folgen des Hurrikans Melissa und ein Koordinierungskomitee für Tourismusresilienz („Tourism Cares“) aktiviert. Minister Bartlett betonte: „Die Erholung darf nicht dem Zufall überlassen werden. Wir stimmen Marketing, Kommunikation, Infrastrukturreparaturen, Hilfsleistungen, Logistik und jede unterstützende Maßnahme auf ein einziges Ziel ab: den vollständigen Industriebetrieb bis zum 15. Dezember“.
Deutsche mit Sondermaschine ausgeflogen
Nachdem zahlreiche Urlauber wegen Hurrikan «Melissa» in Jamaika festsaßen, sind knapp 80 deutsche Urlauber mit einer Sondermaschine der TUI fly ausgeflogen worden. Das sei fast die vollständige Zahl an deutschen Pauschalreisegästen der TUI auf Jamaika, teilte ein Sprecher des Reisekonzerns auf Anfrage mit. Die Boeing 787 der TUI fly Niederlande sei von Kingston aus gestartet und am Sonntagvormittag in den Niederlanden gelandet. Die Weiterreise nach Frankfurt sollte kurz darauf beginnen.
Nach Angaben der Regierung in Kingston befanden sich etwa 25.000 Touristen auf Jamaika, als der verheerende Hurrikan «Melissa» die Insel am Dienstag (Ortszeit) erreichte. Auch eine hohe zweistellige Zahl von Deutschen sei darunter, hieß es aus dem Auswärtigen Amt. Am Sangster International Airport in Montego Bay, dem größten Flughafen des Landes, fielen am Samstag Dutzende Flüge aus, darunter auch einer nach Deutschland.
«Der Condor Flug DE2163 von Montego Bay nach Frankfurt am 1. November 2025 musste aufgrund der Auswirkungen des Hurrikans leider annulliert werden», teilte die Fluggesellschaft auf Anfrage mit. Von der Annullierung seien rund 150 Fluggäste betroffen. Der nächste planmäßige Condor-Flug nach Deutschland sollte demnach am 5. November stattfinden. (Mit Material der dpa)













